
12月30日(火) 神子元島
晴 れ
若 潮
風 向 西8m~10m
波 高 1.5m~2.0m
水 温 17.8度~17.7度
潮 向 上り潮
釣 果
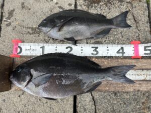
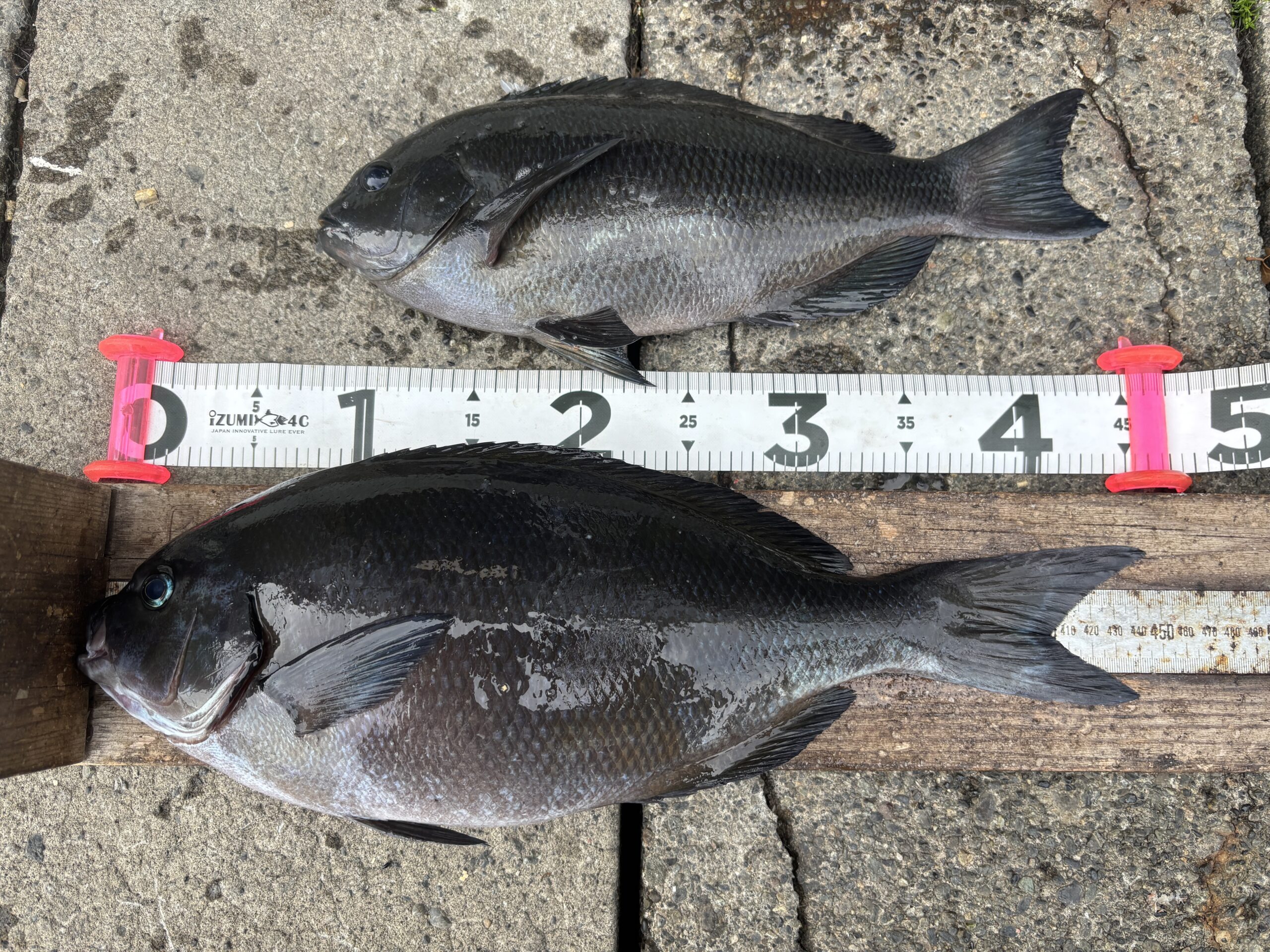
尾長メジナ 38cm~45cm 12枚(45cm 2枚 44cm 1枚)
口太メジナ 35cm~38cm 2枚
イサキ 28cm~35cm 45枚
状 況
今日は西風が朝から強く裏側での釣りでした、潮も上り潮のみで朝は緩いのですが8時から10時頃までは速めでした🎣尾長メジナの釣れる棚は浅く2ヒロまで位で深く仕掛け入れるとエサ取り状態でイサキが釣れます、ハリス3号以上でも良く口を使い仕掛けを止め気味にするとイサキでコマセから少し外して行くと尾長メジナの心地よい当たりが得られます、良く釣れた仕掛けは00~000号の浮きにハリスにはガン玉を付けずに少し張り気味に流すというスタイルで尾長メジナが良く口を使いました、後半は潮が緩くなるので少し深く探るとようやく口太メジナが顔を出してくれました
本日も皆様お疲れ様でした、今年は口太メジナは少し釣れ始めが遅いようですが尾長メジナの大型が多く脂ノリも良く食べたら最高です、また イサキも脂ノリが良くお土産には最適ですね、更にエサ取りも少なく釣り易い状況になってきましたので是非神子元島で爆釣してくださいね🎣今年も御来島して頂き大変ありがとうございました
帰りにお車には事故の無いようお気を付けてお帰り下さい
更に皆様にお願いがありますm(__)m翌日予約の電話は9時より19時まで受け付けております、また 2日目以降の予約に関しては9時より16時の間での受付をしておりますが海の状況でお客様の予約日前日には出船可能か不可能の御連絡を折り返しいたしますので御協力下さい、皆で楽しい釣りをするために宜しくお願いいたします(鵜渡根・神子元島共通です)
尚、下田フィッシングではポイントカードを実施しています、1回御利用に付き1ポイントで10ポイント溜まると神子元島無料になり、ウドネ・新島渡船の場合は1回御利用に付き2ポイント溜まります、是非御利用ください!!!







