
1月31日(土) 神子元島
晴 れ
中 潮
風 向 西 風 4m~5m
波 高 1.5m~1.0m
水 温 14.9℃~15.2℃
潮 向 上り潮
釣 果
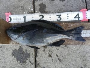
尾長メジナ 32cm~42.5cm 9枚(40cmオーバー3枚)
口太メジナ 35cm~44.2cm 18枚(40cmオーバー5枚)
イサキ 28cm~31.2cm 6枚
状 況
今日は西波が残り本場側はサラシが全体的にある状況で、潮は上り潮が朝から速くカリトではガンガンになるくらいの上り潮でした、水温の割には魚の活性が良かったのですが、潮に乗せると言うより「サラシを攻める」の方が効果的に釣れます🎣あまり速い潮ですと仕掛けが馴染まず000号でガン玉を打ったら魚の食いは余りよく無く、潮のヨレや本場側のサラシを軽い仕掛けで攻めた方が口太メジナが良く口を使ってくれます、食ってくる時は棚は2ヒロから3ヒロくらいなので、あまり深く探るとかえって外道が邪魔をするのでお勧めしません、更に尾長メジナの大型も混じりますのでハリスは2.5号から3.5号くらいか自信のない方は4号でもいい感じですね
ちなみに今日も潮は1日中上り潮でした🎣
本日も皆さんお疲れさまでした、今年は上り潮の日が多くなっていますが最近の傾向としてあまり速い時には魚が口を使わない日が多く感じます、また 尾長メジナの大型もまだ狙えますし、丸々した口太メジナも狙える今がチャンスですので是非神子元島にお越し下さい、また 神子元島に初めて挑戦する方も大募集しております、初めての方は朝の出船前に必ず船長に場所や釣り物を相談してください、親切丁寧に回答いたします🎣また 本日お越しのお客様には感謝申し上げます、お帰りの際は事故など無いようお気を付けてお帰り下さい、又のお越しをスタッフ一同お待ちしております
更に皆様にお願いがありますm(__)m翌日予約の電話は9時より19時まで受け付けております、また 2日目以降の予約に関しては9時より16時の間での受付をしておりますが海の状況でお客様の予約日前日には出船可能か不可能の御連絡を折り返しいたしますので御協力下さい、皆で楽しい釣りをするために宜しくお願いいたします(鵜渡根・神子元島共通です)
尚、下田フィッシングではポイントカードを実施しています、1回御利用に付き1ポイントで10ポイント溜まると神子元島無料になり、ウドネ・新島渡船の場合は1回御利用に付き2ポイント溜まります、是非御利用ください!!!








